Well, after three months of research, I think I found two adjacent lots in Crossville, Tennessee. I made an offer but the seller countered by eliminating the two-week contingency period for me to get an appraisal and verify all the information. I refused to sign. I created this page so I can share all my research with home builders, fencing contractors, companies that clear forested lots, contractors that build driveways, and a landscaper who can install a sprinkler system and sod and maybe a couple of dogwood trees.
The land has to be mostly level because I want to have a barndominium or ranch built. When I click on the Realtor.com FLOOD MAP feature, there cannot be any signs of flooding on the lot nor on the street nor behind nor on each side. (I found a great lot but it would be surrounded by water in a storm.). The lot or lots cannot be in area with a crime rate that would keep me awake at night. The lots I found are across from a mom and pop gas station. I just learned that the truck stop designation is because they own a trucking company and the trucks in the video are THEIRS. I called the Sheriff and the Dispatcher told me the sheriff said the area is perfectly safe and not to worry. The land is DRY, next to a Baptist church, and the area between Tennessee Route 24 and the house lot belongs to a 32 acre farm which wraps behind the two lots as well.
The lot also had to pass a soil test (aka soil percolation rate which indicates how quickly water moves through soil and helps evaluate the ability of the soil to absorb and treat effluent — wastewater). The seller sent a soil test and I called the company that did it to make sure it is still good. It is but I’d have to purchase a new septic application for about $400.

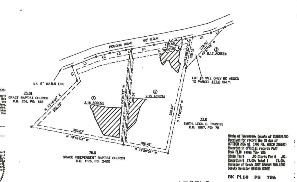
I wanted a survey. This seller sent my realtor one on file.

I looked at plans, watched YouTube videos, did virtual tours, and downloaded software to try to teach myself how to create floor plans and blueprints. Did you know you can buy software to do that?

Or this



I wanted a lot with water, electricity, natural gas, AND fiber or copper cable Internet on the road. I found the Chamber of Commerce site and started calling utility companies to figure which ones service the property. Turns out I will have to fill out a lot of paperwork with the Volunteer Energy Cooperative. The rental I owned in Ely, Nevada was serviced by a co-op so at least this wasn’t a shock. They do not operate like the companies city folk are familiar with.

I called Frontier and was told the property already has copper cable and that within the year fiber is being installed so I can have high speed Internet. The Catoosa Utility District will charge $1,250 for the tap to be installed at the road so a water line can be run to the house. How much it will cost to run electric, cable, and water lines to the house I could not find out. The Middle Tennessee Natural Gas Utility District is three to five months behind. They can run gas up to 300 feet. I figure the house will sit about 75 feet from the road. The electricity should be run underground because of all the trees. I don’t want power lines down during storms. I don’t know how much that will cost YET.
I went on Angies List and found two general contractors. Now to get exact costs to build.
These are photos of a house built recently for a man in a wheelchair. I do not like stainless steel. I don’t want a microwave over the stove. Instead I want a microwave/air fryer that can sit on a counter. I also don’t want dual sinks in the bathroom. For the life of me I cannot understand how anyone would want to share a bathroom EVER.
This house has a really nice layout and it follows feng shui principles. I can’t find anything that violates the basic tenets. Nice foyer. Sink is near the stove and not opposite it – a flaw most American homes have. PERFECT for me to age in gracefully. IF I don’t need nursing home, I could live in a house like this with just help as I age. I don’t like one of the ceiling fans, but that is so minor I can upgrade to one I do like.
Cost to clear the shaded area for the septic field.
Cost to clear the land for a driveway and an acre of the land for the house, the “workshop”, and a yard for the dogs.
Cost to erect a No Climb farm fence around the perimeter both lots. I had this installed in Texas.

Cost to erect a No Climb farm fence around the “lawn” for the dogs with gates in the front and back.
Cost to clear walking trails through the rest of the property.
Cost to clear underbrush and to spray to prevent ticks and fleas.
Cost to install a sprinkler system for a small lawn in front of the house and a large lawn in the back for the dogs. Does the land need top soil for sod?? I don’t know YET. I’m guessing $4,000 for the sprinkler system and $3,000??? for sod.
Cost for a small patio in the back and a walk from the driveway to the front door. Could be gravel. I don’t plan on having guests but I want to use the front door to walk to the road, cross, and buy pulled pork sandwiches at the gas station!
Cost for a mailbox and a 911 postal address. I already have security cameras but I need security flood lights.
Cost to install a heated salt water above ground FitMax IPOOL 3 built with a deck around it so I can walk up a staircase rather than a ladder. I want the pool inside an insulated and heated/air conditioned “Workshop/Garage” with a window so I can look out while I try to exercise. Click on the photo to watch how to install one of these therapy pools.

Cost of a gas furnace assuming the federal government doesn’t outlaw them.

Cost of an air conditioner assuming the feds don’t ban those either. Don’t laugh. I just heard some in Congress are ranting about AC also! This looks like it’s both an AC and a furnace. Gotta ask.

Cost of a gas operated tankless water heater – the electric powered ones suck.

Cost of a new refrigerator. I plan on bringing my washer which I just bought in early 2000 and my dryer which I had repaired – it was a top of the line dryer and I saw replacement costs and almost fainted.

Cost of a microwave/air fryer that I can have on the counter.

Tomorrow (Friday, March 31, 2023) I will share this with the general contractors and get back on the phone and track down who installs septic systems. I also got leads from Facebook’s Crossville Chitter Chatter for locals who clear lots. There might be a way to save money. My realtor got a quote of $18,000 from someone he knows who viewed the video. The quote includes building a two car width 100 foot long driveway.
IF YOU HAVE ANY SUGGESTIONS
PLEASE COMMENT BELOW
To create the slideshow I used my trackpad to copy just the photo to my desktop, then I created a slideshow using Apple Photos and exported it to Rumble. I could have uploaded it to YouTube, but YouTube takes FOREVER and this is not a video I can nor would want to monetize.